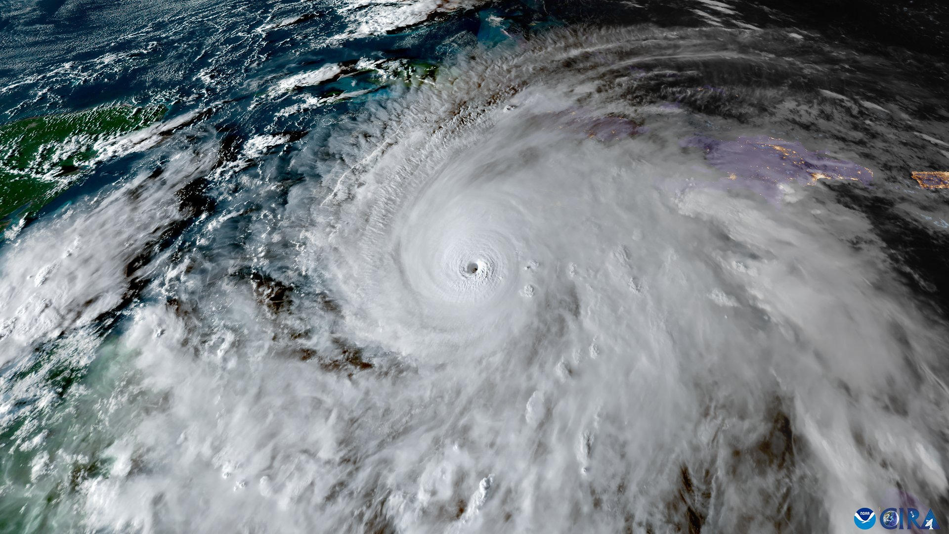
El huracán Melissa, clasificado como categoría 5, ha sido identificado como la tormenta tropical más poderosa de 2025, según un análisis de la Agencia France-Presse (AFP) basado en la información proporcionada por la Administración Nacional Oceánica y Atmosférica de Estados Unidos (NOAA).
Vientos de 300 km/h superan récords anteriores
Este fenómeno meteorológico presenta vientos de casi 300 kilómetros por hora, superando la intensidad del tifón Ragasa, que en septiembre impactó el este de Asia con ráfagas de hasta 267 km/h. La magnitud de los vientos y la baja presión central de Melissa lo sitúan como el evento meteorológico más notable del año, de acuerdo con registros oficiales.
Impacto devastador en Jamaica y el Caribe
Melissa tocó tierra en la isla de Jamaica el martes, específicamente cerca de New Hope, localizada en el suroeste del país. El Centro Nacional de Huracanes (NHC) de Estados Unidos ha indicado que el huracán producirá entre 38 y 76 centímetros de lluvia, con algunas áreas llegando hasta un metro, provocando posibles inundaciones repentinas y deslizamientos de tierra en regiones montañosas y litorales.
La situación en Jamaica es crítica, con las autoridades locales confirmando el fallecimiento de tres personas y varias comunidades incomunicadas. En Haití, el huracán ha causado la pérdida de otras tres vidas, mientras que Panamá y República Dominicana reportan una víctima mortal cada uno debido a efectos colaterales del ciclón.
Proyecciones y advertencias para el Caribe
El Centro Nacional de Huracanes proyecta que Melissa mantendrá su intensidad mientras se desplaza hacia el sureste de Cuba el miércoles y alcanzará las Bahamas para el jueves. Los especialistas advierten que las marejadas ciclónicas y los suelos húmedos podrían exacerbar el impacto humanitario en toda la región caribeña.
Desafíos para la aviación y la cooperación regional
Durante una misión de reconocimiento, un avión cazahuracanes del 53.º Escuadrón de Reconocimiento del Clima de Estados Unidos tuvo que regresar a su base en Curaçao después de experimentar turbulencias inusuales en el interior del ojo del ciclón. La Fuerza Aérea de Estados Unidos informó que, conforme a los procedimientos establecidos, el avión deberá someterse a una revisión exhaustiva antes de continuar con sus operaciones, aunque no se registraron daños estructurales.
Además de su fuerza devastadora, el huracán Melissa ha puesto a prueba la colaboración meteorológica en la región del Caribe y la operatividad de los sistemas de emergencia durante una temporada de huracanes caracterizada por su intensidad inusualmente alta en el Atlántico.
En conclusión, el huracán Melissa no solo ha sido un fenómeno meteorológico de gran magnitud, sino que también ha resaltado la necesidad de una preparación y respuesta coordinada ante desastres naturales en la región.

